阿摩線上測驗 登入

申論題資訊

試卷:112年 - 112 地方政府特種考試_四等_景觀:景觀設計概要#117975
科目:景觀設計
年份:112年
排序:0

題組內容

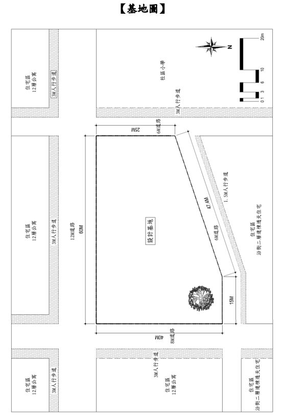
二、現有一處位於老市區之基地(如下圖) ,欲開闢為鄰里公園,附近居民高齡者及幼童比例偏高,為利用公園的主要族群;且基地上有一株受保護老樹必須保留。請以「共融友善環境」為設計指導原則進行設計此一鄰里公園設計。 圖說要求:
657818138bccb.jpg

申論題內容

(三)植栽設計圖說(配置構想、設計圖、植栽表,並附植栽選用原則說明)。 (15 分)